トップページ

 

不動産空き家の整理処分買取り査定無料

神奈川県秦野市の不動産情報 住宅・マンション・土地のご相談は有限会社草山不動産へ

有限会社草山不動産では、神奈川県秦野市や小田急小田原線渋沢駅周辺の、土地・建物・アパート・貸家・マンション・駐車場をご紹介しています。
また、オーナー様より委託を受け管理業務も行っています。

物件

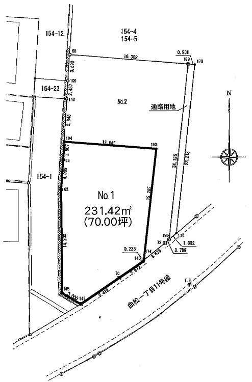
曲松1丁目売地

売地(建築条件なし)

価格 2,100万円
面積 141.65㎡(42.84坪)
所在地 秦野市曲松1丁目
最寄駅 小田急小田原線渋沢駅徒歩4分
用途 事業用地(住宅・共同住宅・店舗・事務所)
都市計画 近隣商業地域
建ぺい率 80%・容積率 300%
地目 宅地
備考 現況月極駐車場・車庫(更地渡し)
渋沢駅南口地区計画有り
取引態様 仲介

区画整理地内なので、区画が整っています

→この物件の詳細を見る(PDF)

萩が丘売地

売地(建築条件なし)

価格 №2 1,565万円
面積 №2 236.44㎡(71.52坪)
所在地 秦野市萩が丘
最寄駅 小田急小田原線渋沢駅徒歩9分
またはバス3分「萩が丘」停歩1分
用途 住宅・共同住宅・物販店舗
都市計画 第一種中高層住専
建ぺい率 60%・容積率 200%
地目 宅地
備考 11/末造成工事済・都市計画道路有り
取引態様 仲介

バス通り沿い・食品スーパー跡地

→№2この物件の詳細を見る(PDF)

クローバー

2DKアパート

賃料 41,000円
共益費 なし
所在地 秦野市緑町
最寄駅 小田急小田原線秦野駅徒歩26分
敷金 2ヶ月・礼金 なし
間取 2DK
面積 40.48㎡(12.24坪)
駐車場 付近に有り3,000円
取引態様 仲介

スーパー近く買物便利

→この物件の詳細を見る(PDF)

ヴィラ石原H

2DKアパート201号室

賃料 65,000円
共益費 なし
所在地 秦野市曲松1丁目
最寄駅 小田急小田原線渋沢駅徒歩5分
敷金 2ヶ月・礼金 なし
間取 2DK
面積 49.68㎡(15.02坪)
駐車場 有り1台付
取引態様 仲介

築8年の築浅物件、独立性のある各階1世帯、専用階段あり

→この物件の詳細を見る(PDF)

小室貸家2F

3LDK貸家

賃料 120,000円
共益費 なし
所在地 秦野市平沢
最寄駅 小田急小田原線渋沢駅徒歩11分
敷金 2ヶ月・礼金 なし
間取 3LDK
面積 83.05㎡(25.12坪)
駐車場 有り2台付
取引態様 仲介

2世帯住宅をリフォームして分離しました
螺旋階段で2Fの玄関へ上がる事が出来ます

→この物件の詳細を見る(PDF)

» 続きを読む

お知らせ

2016年02月07日
ホームページをリニューアルしました。
2021年02月15日
ページをhttpsに変更しました
店舗外観

店舗情報

有限会社草山不動産

〒259-1321 神奈川県秦野市曲松1-1-14

TEL.0463-88-0209
FAX.0463-88-2157

→アクセス